Thumbnails Summary
Pictures available for Campostoma pullum
WoRMS  |  iNaturalist images  |  iNaturalist observations  |  Google Images
(Click on picture to enlarge and see data)


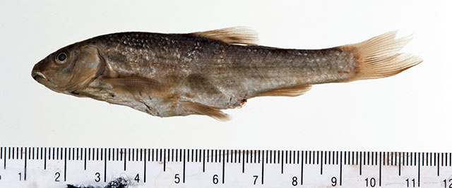
tn_Capul_u5.jpgCapul_u5.jpgPhoto by Sandra J. Raredon / Smithsonian Institution, NMNH, Div. of Fishes
United States (contiguous states), by Sandra J. Raredon / Smithsonian Institution, NMNH, Div. of Fishes (Capul_u5.jpg)
tn_Capul_u8.jpgCapul_u8.jpgPhoto by Sandra J. Raredon / Smithsonian Institution, NMNH, Div. of Fishes
Mexico, by Sandra J. Raredon / Smithsonian Institution, NMNH, Div. of Fishes (Capul_u8.jpg)

Photos uploaded by FishBase users
Upload more photos of this fish
n=1
For comments, corrections please contact
Aque Atanacio

(Fish identification given by uploader of photo)
CC-BY
Photo by Veronica Hoskins
United States (contiguous states), Austin, TX, by Veronica Hoskins

Note: the photos shown on this page are low resolution scans in high compression JPEG format. The copyright remains with the photographers/institutes. If you want to use any of the photos/drawings, please contact the contributor for permission. However, we would appreciate a proper indication of the source. For other drawings where the originating publication is given, you have to ask the publisher and the author for permission to use those drawings. Click on the image to see individual license applicable to each picture.
Back to Search
Back to Top