Select Class:
Myxini Petromyzonti Elasmobranchii Holocephali Cladistii Chondrostei Holostei Teleostei Coelacanthi Dipneusti
Select Order:
Order Myxiniformes Petromyzontiformes Hexanchiformes Heterodontiformes Orectolobiformes Lamniformes Carcharhiniformes Squaliformes Echinorhiniformes Pristiophoriformes Squatiniformes Torpediniformes Rhinopristiformes Rajiformes Myliobatiformes Chimaeriformes Polypteriformes Acipenseriformes Lepisosteiformes Amiiformes Hiodontiformes Osteoglossiformes Elopiformes Albuliformes Notacanthiformes Anguilliformes Saccopharyngiformes Clupeiformes Alepocephaliformes Gonorynchiformes Cypriniformes Characiformes Gymnotiformes Siluriformes Lepidogalaxiiformes Argentiniformes Galaxiiformes Esociformes Salmoniformes Osmeriformes Stomiiformes Ateleopodiformes Aulopiformes Myctophiformes Lampriformes Percopsiformes Zeiformes Stylephoriformes Gadiformes Polymixiiformes Beryciformes Trachichthyiformes Holocentriformes Ophidiiformes Batrachoidiformes Scombriformes Syngnathiformes Dactylopteriformes Callionymiformes Mulliformes Kurtiformes Gobiiformes Synbranchiformes Anabantiformes Carangaria/misc Pleuronectiformes Carangiformes Cichliformes Atheriniformes Cyprinodontiformes Beloniformes Mugiliformes Gobiesociformes Blenniiformes Ovalentaria/misc Acanthuriformes Lophiiformes Tetraodontiformes Centrarchiformes Acropomatiformes Eupercaria/misc Perciformes/Percoidei Perciformes/Zoarcoidei Perciformes/Bembropoidei Perciformes/Percophoidei Perciformes/Notothenioidei Perciformes/Uranoscopoidei Perciformes/Serranoidei Perciformes/Scorpaenoidei Perciformes/Gasterosteoidei Perciformes/Cottoidei Coelacanthiformes Ceratodontiformes
Select Family:
Acanthuridae Acestrorhamphidae Acestrorhynchidae Acheilognathidae Achiridae Achiropsettidae Acipenseridae Acropomatidae Adrianichthyidae Aenigmachannidae Aetobatidae Agonidae Ailiidae Akysidae Albulidae Alepisauridae Alepocephalidae Alestidae Alopiidae Alosidae Amarsipidae Ambassidae Amblycipitidae Amblyopsidae Amiidae Ammodytidae Amphiliidae Anabantidae Anablepidae Anacanthobatidae Anarhichadidae Anchariidae Anguillidae Anomalopidae Anoplogastridae Anoplopomatidae Anostomidae Anotopteridae Antennariidae Anthiadidae Antigoniidae Aphaniidae Aphredoderidae Apistidae Aploactinidae Aplocheilidae Aplodactylidae Apogonidae Apteronotidae Aracanidae Arapaimidae Argentinidae Arhynchobatidae Ariidae Ariommatidae Arripidae Artedidraconidae Aspredinidae Astroblepidae Ateleopodidae Atelomycteridae Atherinidae Atherinopsidae Atherionidae Auchenipteridae Auchenoglanididae Aulopidae Aulorhynchidae Aulostomidae Austroglanididae Badidae Bagridae Balistidae Balitoridae Banjosidae Barbourisiidae Barbuccidae Bathyclupeidae Bathydraconidae Bathygadidae Bathylagidae Bathymasteridae Bathysauridae Bathysauroididae Batrachoididae Bedotiidae Belonidae Bembridae Bembropidae Berycidae Blenniidae Bothidae Botiidae Bovichtidae Brachaeluridae Brachionichthyidae Bramidae Bregmacerotidae Bryconidae Butidae Bythitidae Caesionidae Caesioscorpididae Callanthiidae Callichthyidae Callionymidae Callorhinchidae Caproidae Carangidae Carapidae Carcharhinidae Carchariidae Caristiidae Catostomidae Caulophrynidae Cebidichthyidae Centrarchidae Centriscidae Centrogenyidae Centrolophidae Centrophoridae Centrophrynidae Centropomidae Cepolidae Ceratiidae Cetomimidae Cetopsidae Cetorhinidae Chacidae Chaenopsidae Chaetodontidae Chalceidae Champsodontidae Chanidae Channichthyidae Channidae Characidae Chaudhuriidae Chaunacidae Cheilodactylidae Cheimarrichthyidae Chiasmodontidae Chilodontidae Chimaeridae Chirocentridae Chironemidae Chlamydoselachidae Chlopsidae Chlorophthalmidae Cichlidae Cirrhitidae Citharidae Citharinidae Clariidae Claroteidae Clinidae Clupeidae Cobitidae Colocongridae Congiopodidae Congridae Coryphaenidae Cottidae Cranoglanididae Creediidae Crenuchidae Cryptacanthodidae Ctenoluciidae Curimatidae Cyclopsettidae Cyclopteridae Cyematidae Cynodontidae Cynoglossidae Cyprinidae Cyprinodontidae Cyttidae Dactylopteridae Dactyloscopidae Dalatiidae Danionidae Dasyatidae Dentatherinidae Denticipitidae Derichthyidae Diceratiidae Dichichthyidae Dichistiidae Dinematichthyidae Dinolestidae Dinopercidae Diodontidae Diplomystidae Diretmidae Distichodontidae Doradidae Dorosomatidae Draconettidae Drepaneidae Dussumieriidae Echeneidae Echinorhinidae Ehiravidae Elassomatidae Eleginopidae Eleotridae Ellopostomatidae Elopidae Embiotocidae Emmelichthyidae Engraulidae Enoplosidae Ephippidae Epigonidae Epinephelidae Erythrinidae Eschmeyeridae Esocidae Etmopteridae Euclichthyidae Eulophiidae Eurypharyngidae Evermannellidae Exocoetidae Fistulariidae Fluviphylacidae Fundulidae Gadidae Gaidropsaridae Galaxiidae Galeocerdonidae Gasteropelecidae Gasterosteidae Gastromyzontidae Gempylidae Geotriidae Gerreidae Gibberichthyidae Gigantactinidae Giganturidae Ginglymostomatidae Girellidae Glaucosomatidae Glaucostegidae Gnathanacanthidae Gobiesocidae Gobiidae Gobionidae Gonorynchidae Gonostomatidae Goodeidae Grammatidae Grammicolepididae Grammistidae Gurgesiellidae Gymnarchidae Gymnotidae Gymnuridae Gyrinocheilidae Haemulidae Halosauridae Harpagiferidae Helostomatidae Hemerocoetidae Hemigaleidae Hemiodontidae Hemiramphidae Hemiscylliidae Hepsetidae Heptapteridae Heterenchelyidae Heterodontidae Heteropneustidae Hexagrammidae Hexanchidae Hexatrygonidae Himantolophidae Hiodontidae Hispidoberycidae Histiophrynidae Holocentridae Hoplichthyidae Horabagridae Howellidae Hypnidae Hypopomidae Hypoptychidae Icosteidae Ictaluridae Iguanodectidae Indostomidae Ipnopidae Isonidae Istiophoridae Jordaniidae Kneriidae Kraemeriidae Kryptoglanidae Kuhliidae Kurtidae Kyphosidae Labridae Labrisomidae Lacantuniidae Lactariidae Lamnidae Lampridae Lateolabracidae Latidae Latilidae Latimeriidae Latridae Lebiasinidae Leiognathidae Lepidogalaxiidae Lepidosirenidae Lepisosteidae Leptobarbidae Leptobramidae Leptochariidae Leptoscopidae Lethrinidae Leuciscidae Linophrynidae Liopropomatidae Liparidae Lobotidae Lophichthyidae Lophiidae Lophotidae Loricariidae Lotidae Lumpenidae Lutjanidae Luvaridae Lyconidae Macrouridae Macruronidae Malacanthidae Malakichthyidae Malapteruridae Mastacembelidae Megachasmidae Megalopidae Melamphaidae Melanocetidae Melanonidae Melanotaeniidae Menidae Merlucciidae Microcanthidae Microdesmidae Microstomatidae Milyeringidae Mitsukurinidae Mobulidae Mochokidae Molidae Monacanthidae Monocentridae Monodactylidae Monognathidae Mordaciidae Moridae Moringuidae Mormyridae Moronidae Mugilidae Mullidae Muraenesocidae Muraenidae Muraenolepididae Myctophidae Myliobatidae Myrocongridae Myxinidae Nandidae Narcinidae Narkidae Nemacheilidae Nematistiidae Nematogenyidae Nemichthyidae Nemipteridae Neoceratiidae Neoceratodontidae Neocyematidae Neoscopelidae Neosebastidae Neozoarcidae Nettastomatidae Niphonidae Nomeidae Normanichthyidae Notacanthidae Nothobranchiidae Notocheiridae Notopteridae Notosudidae Nototheniidae Odacidae Odontaspididae Odontobutidae Ogcocephalidae Omosudidae Oncopteridae Oneirodidae Ophichthidae Ophidiidae Opisthocentridae Opisthoproctidae Opistognathidae Oplegnathidae Orectolobidae Oreosomatidae Osmeridae Osphronemidae Osteoglossidae Ostraciidae Ostracoberycidae Oxudercidae Oxynotidae Paedocyprididae Pangasiidae Pantanodontidae Pantodontidae Paralepididae Paralichthodidae Paralichthyidae Parascorpididae Parascylliidae Paraulopidae Parazenidae Parodontidae Pataecidae Pegasidae Pempheridae Pentacerotidae Pentanchidae Percalatidae Percichthyidae Percidae Perciliidae Percophidae Percopsidae Peristediidae Perryenidae Petromyzontidae Phallostethidae Pholidae Pholidichthyidae Phosichthyidae Phractolaemidae Phreatobiidae Phycidae Pimelodidae Pinguipedidae Platycephalidae Platyrhinidae Platytroctidae Plecoglossidae Plectrogeniidae Plesiobatidae Plesiopidae Pleuronectidae Plotosidae Poeciliidae Poecilopsettidae Polycentridae Polymixiidae Polynemidae Polyodontidae Polyprionidae Polypteridae Pomacanthidae Pomacentridae Pomatomidae Potamotrygonidae Priacanthidae Pristidae Pristigasteridae Pristiophoridae Pristolepididae Procatopodidae Prochilodontidae Profundulidae Proscylliidae Protanguillidae Protopteridae Psettodidae Pseudaphritidae Pseudocarchariidae Pseudochromidae Pseudomugilidae Pseudopimelodidae Pseudotriakidae Pseudotrichonotidae Psilorhynchidae Psychrolutidae Ptilichthyidae Rachycentridae Radiicephalidae Rajidae Ranicipitidae Regalecidae Retropinnidae Rhamphichthyidae Rhamphocottidae Rhincodontidae Rhinidae Rhinobatidae Rhinochimaeridae Rhinopteridae Rhombosoleidae Rhyacichthyidae Rhycheridae Ritidae Rivulidae Rondeletiidae Saccopharyngidae Salangidae Salmonidae Samaridae Scaridae Scatophagidae Schilbeidae Schindleriidae Sciaenidae Scoloplacidae Scomberesocidae Scombridae Scombrolabracidae Scombropidae Scopelarchidae Scophthalmidae Scorpaenidae Scorpididae Scyliorhinidae Scytalinidae Sebastidae Serpenticobitidae Serranidae Serrasalmidae Serrivomeridae Setarchidae Siganidae Sillaginidae Siluridae Sinipercidae Sisoridae Soleidae Solenostomidae Somniosidae Sparidae Sphyraenidae Sphyrnidae Spintherobolidae Spratelloididae Squalidae Squatinidae Stegostomatidae Steindachneriidae Stephanoberycidae Stereolepididae Sternoptychidae Sternopygidae Stevardiidae Stichaeidae Stomiidae Stromateidae Stylephoridae Sudidae Sundadanionidae Symphysanodontidae Synagropidae Synanceiidae Synaphobranchidae Synbranchidae Syngnathidae Synodontidae Tanichthyidae Tarumaniidae Tathicarpidae Telmatherinidae Terapontidae Tetrabrachiidae Tetragonuridae Tetraodontidae Tetrarogidae Thalasseleotrididae Thaumatichthyidae Tincidae Torpedinidae Toxotidae Trachichthyidae Trachinidae Trachipteridae Trachyrincidae Triacanthidae Triacanthodidae Triakidae Trichiuridae Trichodontidae Trichomycteridae Trichonotidae Triglidae Triodontidae Triportheidae Tripterygiidae Trygonorrhinidae Umbridae Uranoscopidae Urolophidae Urotrygonidae Vaillantellidae Valenciidae Veliferidae Xenisthmidae Xenocyprididae Xiphiidae Zanclidae Zanclorhynchidae Zaniolepididae Zanobatidae Zaproridae Zeidae Zenarchopteridae Zeniontidae Zoarcidae
Subfamily:
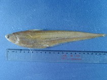
Engraulinae Coiliinae
Select Genus:
Amazonsprattus Anchoa Anchovia Anchoviella Cetengraulis Coilia Encrasicholina Engraulis Jurengraulis Lycengraulis Lycothrissa Papuengraulis Pseudosetipinna Pterengraulis Setipinna Stolephorus Thrissina Thryssa
Select Ocean (marine/brackish) or Continent (freshwater):
Africa-Inland Waters [1] America, North - Inland waters [2] America, South - Inland waters [3] Asia - Inland waters [4] Europe - Inland waters [5] Oceania - Inland waters [6] Former USSR - Inland waters [7] Antarctica - Inland waters [8] Arctic Ocean [18] Atlantic, Northwest [21] Atlantic, Northeast [27] Atlantic, Western Central [31] Atlantic, Eastern Central [34] Mediterranean and Black Sea [37] Atlantic, Southwest [41] Atlantic, Southeast [47] Atlantic, Antarctic [48] Indian Ocean, Western [51] Indian Ocean, Eastern [57] Indian Ocean, Antarctic [58] Pacific, Northwest [61] Pacific, Northeast [67] Pacific, Western Central [71] Pacific, Eastern Central [77] Pacific, Southwest [81] Pacific, Southeast [87] Pacific, Antarctic [88] All areas (World total) [99]
Select a country: Adelaide Island Adelie Land Admiralty Islands Afghanistan Åland Islands Alaska Albania Algeria American Samoa Amsterdam Island (New Amsterdam) Andaman and Nicobar Islands Andorra Angola Anguilla Antarctic Antigua and Barbuda Argentina Armenia Aruba Ascension Island Australia Austria Azerbaijan Azores Islands Bahamas Bahrain Balleny Islands Bangladesh Barbados Bassas da India Shoal Belarus Belgium Belize Benin Bermuda Bhutan Bolivia Bonaire, Sint Eustatius and Saba Bosnia and Herzegovina Botswana Bouvet Island Brazil British Antarctic Territory British Indian Ocean Territory Brunei Darussalam Bulgaria Burkina Faso Burundi Cambodia Cameroon Canada Canary Islands Cape Verde Cargados Carajos Shoals Caroline Island Cayman Islands Central African Republic Chad Chagos Islands Channel Islands Chatham Islands Chile China Chinese Taipei (Taiwan) Christmas Island (AU) Clipperton Island Cocos Island (CR) Cocos Islands (Keeling; AU) Colombia Comoros Congo (Brazzaville) Congo (Kinshasa) Cook Islands Costa Rica Croatia Crozet Islands Cuba Curaçao Island Cyprus Czechia (Czech Republic) Denmark Desventuradas Islands Djibouti Dominica Dominican Republic Easter Island Ecuador Egypt Elephant Island England and Wales (UK) Equatorial Guinea Eritrea Estonia Eswatini (Swaziland) Ethiopia Europa Island Faeroe Islands Falkland Islands (Malvinas) Fiji Finland France French Guiana French Polynesia French Southern Territories Gabon Galapagos Islands Gambia Georgia Germany Ghana Gibraltar Global Glorieuses Islands Greece Greenland Grenada Guadeloupe Guam Guatemala Guernsey Guinea Guinea-Bissau Guyana Haiti Hawaii Heard Island and McDonald Islands Holy See (Vatican City State) Honduras Hong Kong Hungary Iceland India Indonesia Iran Iraq Ireland Isle of Man Israel Italy Ivory Coast (Côte d'Ivoire) Jamaica Jan Mayen Island Japan Jersey Johnston Island Jordan Juan de Nova Island Juan Fernández Islands Kazakhstan Kenya Kerguelen Islands Kermadec Islands Kiribati Korea (North) Korea (South) Kosovo Kuril Islands Kuwait Kyrgyzstan Lao People's Democratic Republic Latvia Lebanon Lesotho Liberia Libya Liechtenstein Lithuania Lord Howe Island Luxembourg Macau Macquarie Island (Macca) Madagascar Madeira Islands Malawi Malaysia Maldives Mali Malta Marquesas Islands Marshall Islands Martinique Mauritania Mauritius Mayotte Mexico Micronesia Midway Islands Moldova Monaco Mongolia Montenegro Montserrat Morocco Mozambique Myanmar Namibia Nauru Nepal Netherlands Netherlands Antilles New Caledonia New Zealand Nicaragua Niger Nigeria Niue Norfolk Island North Macedonia Northern Ireland (UK) Northern Marianas Islands Norway Ogasawara Islands (Bonin Islands) Oman Pacific Islands (Trust Territory) Pakistan Palau Palestine Panama Papua New Guinea Paraguay Peru Peter I Island Philippines Pitcairn Poland Portugal Prince Edward Islands Puerto Rico Qatar Reunion Island [La] (La Réunion) Revillagigedo Archipelago Rodriguez Island Romania Russian Federation Rwanda Ryukyu Islands Saint Barthelemy Saint Helena Island Saint Kitts and Nevis Saint Lucia Saint Martin (FR) Saint Paul Island Saint Paul's Rocks Saint Pierre and Miquelon Saint Vincent and the Grenadines Salvador [El] Samoa San Marino Sao Tome and Principe Saudi Arabia Scotland (UK) Scott Island Senegal Serbia Seychelles Sierra Leone Singapore Sint Maarten (NL) Slovakia Slovenia Socotra Archipelago Solomon Islands Somalia South Africa South Georgia Island and South Sandwich Islands South Orkney Islands South Shetland Islands Spain Sri Lanka Sudan (North) Sudan (South) Suriname Svalbard and Jan Mayen Sweden Switzerland Syria Tahiti Tajikistan Tanzania Thailand Timor-Leste Togo Tokelau Tonga Trindade and Martim Vaz Archipelago Trinidad and Tobago Tristan da Cunha Islands Tromelin Island Tuamotu Islands Tunisia Türkiye Turkmenistan Turks and Caicos Islands Tuvalu Uganda Ukraine United Arab Emirates United Kingdom United States (contiguous states) Uruguay US Minor Outlying Islands US Miscellaneous Pacific Islands Uzbekistan Vanuatu Venezuela Viet Nam Virgin Islands (UK) Virgin Islands (US) Wake Island Wallis and Futuna Islands Western Sahara Yemen Zambia Zimbabwe
Only include species occuring above:
m
Total number of spines in dorsal and anal fins (optional).
Enter total length (TL) and maximum body depth (BD)